2019
in
the Bahamas

Decades:
  • 1990s
  • 2000s
  • 2010s
  • 2020s
See also:
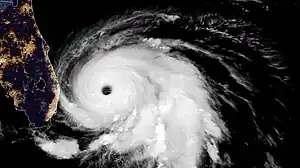
Dorian 2019-09-02 0600Z-0800Z GOES-16-ABI-eus-GEOCOLOR

This article lists events from the year 2019 in the Bahamas

Incumbents

Events

Hurricane Dorian over the Bahamas as seen from the International Space Station on 2 September 2019

Deaths

See also

References

  1. "Former Cabinet Minister, Ervin Knowles dies at 84 years". thebahamasweekly.com. January 22, 2019. Retrieved July 10, 2019.
This article is issued from Wikipedia. The text is licensed under Creative Commons - Attribution - Sharealike. Additional terms may apply for the media files.