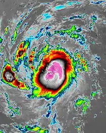
![]() Delta nearing its secondary peak intensity east of Texas on October 8 | |
| Meteorological history | |
|---|---|
| Formed | October 4, 2020 |
| Extratropical | October 10, 2020 |
| Dissipated | October 12, 2020 |
| Category 4 hurricane | |
| 1-minute sustained (SSHWS/NWS) | |
| Highest winds | 140 mph (220 km/h) |
| Lowest pressure | 953 mbar (hPa); 28.14 inHg |
| Overall effects | |
| Fatalities | 6 |
| Damage | $3.09 billion (2020 USD) |
| Areas affected | Jamaica, Nicaragua, Cayman Islands, Yucatán Peninsula, Gulf Coast of the United States, Eastern United States |
| IBTrACS / [1] | |
Part of the 2020 Atlantic hurricane season | |
Hurricane Delta was the record-tying fourth named storm of 2020 to make landfall in Louisiana, as well as the record-breaking tenth named storm to strike the United States in that year. The twenty-sixth tropical cyclone, twenty-fifth named storm, tenth hurricane, and third major hurricane of the record-breaking 2020 Atlantic hurricane season, Delta formed from a tropical wave which was first monitored by the National Hurricane Center (NHC) on October 1. Moving westward, the tropical wave began to quickly organize. A well-defined center of circulation formed with sufficiently organized deep convection on October 4, and was designated as Tropical Depression Twenty-six and soon thereafter, Tropical Storm Delta. Extremely rapid intensification ensued throughout October 5 into October 6, with Delta becoming a Category 4 hurricane within 28 hours of attaining tropical storm status. The rate of intensification was the fastest in the Atlantic basin since Hurricane Wilma in 2005. After peaking in intensity however, an unexpected increase in wind shear and dry air quickly weakened the small storm before it made landfall in Puerto Morelos, Mexico as a Category 2 hurricane with 105 mph (169 km/h) winds. It weakened some more over land before emerging into the Gulf of Mexico, where it was downgraded to a Category 1 hurricane. After that, it began to restrengthen, regaining Category 3 status late on October 8. It then turned northward and reached a secondary peak intensity of 953 mbar (28.14 inHg) and winds of 120 mph early on October 9. Delta then began to turn more north-northeastward into an area of cooler waters, higher wind shear, and dry air, causing it to weaken back to Category 2 status. Delta then made landfall at 23:00 UTC near Creole, Louisiana with winds of 100 mph (160 km/h) and a pressure of 970 mbar (29 inHg). The storm began to weaken more rapidly after landfall, becoming post-tropical just 22 hours later.
Widespread tropical cyclone watches and warnings were issued throughout the Western Caribbean and the Mexican states of Yucatán and Quintana Roo, which had just been hit by Hurricane Gamma, in preparation for the storm. As Delta moved out of the Gulf of Mexico, more watches were issued for the U.S. Gulf Coast, an area that had already seen multiple strong hurricanes such as Laura and Sally earlier in the season. States of emergency were also declared in the U.S. states of Louisiana, Mississippi, and Alabama and several coastal and low-lying areas were ordered to evacuate. In Mexico, trees and power lines were blown down, and roofs were ripped off homes and other buildings. Louisiana and Southeast Texas were again by heavy rain, high winds, and storm surge, and 14 weak tornadoes were confirmed in Mississippi, Alabama, Georgia and the Carolinas. Total insured losses resulting from the storm amounted to $3.09 billion, with $2.9 billion in the US and US$186 million in Mexico.[2]
Meteorological history

Tropical storm (39–73 mph, 63–118 km/h)
Category 1 (74–95 mph, 119–153 km/h)
Category 2 (96–110 mph, 154–177 km/h)
Category 3 (111–129 mph, 178–208 km/h)
Category 4 (130–156 mph, 209–251 km/h)
Category 5 (≥157 mph, ≥252 km/h)
Unknown
At 00:00 UTC on October 1, the National Hurricane Center (NHC) began to monitor a tropical wave moving into the Eastern Caribbean for potential development.[3] It moved steadily westward at 15–20 miles per hour (24–32 km/h) and began to organize late on October 3.[4] A well-defined center of circulation formed with sufficiently organized deep convection around 18:00 UTC on October 4, marking the formation of Tropical Depression Twenty-Six. Thunderstorm activity continued to increase after formation, but was initially confined to the southern portion of the circulation due to northerly wind shear. Once the shear lessened on October 5, convection became more symmetric around the center, and the system strengthened to become Tropical Storm Delta by 12:00 UTC that day about 150 mi (240 km) south-southwest of Montego Bay, Jamaica.[1]
Continuing westward in defiance of forecasts that repeatedly predicted a northwestward turn, Delta began a period of rapid intensification, becoming a Category 1 hurricane 12 hours after being named.[5] As it finally began to turn northwestward early on October 6, Delta continued to rapidly intensify, reaching Category 2 status just nine hours later at 09:00 UTC.[6][7] Delta's intensification was described as the fastest in a 24-hour period since Hurricane Wilma of 2005.[8] By 12:30 UTC, Delta began to develop a small pinhole eye only 4 nautical miles (4.6 miles) in diameter, although it was not visible in satellite imagery.[9] Rapid intensification continued and at 15:00 UTC, Delta was upgraded to Category 3 major hurricane status, before reaching Category 4 status just 20 minutes later, after an NOAA hurricane Hunter aircraft indicated that the storm's 1-minute sustained wind speed was at 130 mph (210 km/h).[10][11] Delta intensified from a tropical depression to Category 4 hurricane in just over 36 hours, breaking the record of 42 hours that Hurricane Keith set in 2000.[12]

Delta reached its initial peak intensity at 18:00 UTC, with winds of 140 mph (230 km/h) and a pressure of 953 mbar (28.1 inHg), an unusually high pressure for a storm this strong, which indicated that Delta's circulation did not extend as far into the upper troposphere as would be expected for a storm of its intensity.[13] Additionally, the storm's eye was barely visible on visible satellite imagery, although it was seen on microwave images. Delta did not keep this intensity for very long as an increase in mid-level wind shear and dry air entrainment significantly disrupted Delta's small core, and the storm abruptly weakened with its banding features becoming less defined and its eye completely disappearing.[14] It accelerated northwestward and at around 05:45 UTC on October 7, the storm made landfall at Puerto Morelos, Quintana Roo, Mexico, as a high-end Category 2 storm with winds of 110 mph (180 km/h).[15] It subsequently weakened some more as it moved over the Yucatán Peninsula and into the Gulf of Mexico, north of the Dzilam de Bravo State Reserve,[16] as an 85 mph (137 km/h) Category 1 hurricane at 21:00 UTC on October 7.[17] Afterward, Delta finally began to reorganize and it regained Category 2 intensity at 06:00 UTC on October 8.[18]
Delta steadily became more organized on the morning of October 8, with an eye occasionally becoming evident on satellite imagery and a lowering minimum central pressure as it turned northward ahead of an approaching trough to its northwest.[19] Delta regained Category 3 intensity at 21:00 UTC, before reaching its secondary peak intensity at 00:00 UTC on October 9, with its minimum pressure again dropping to 953 mbar (28.1 inHg) and sustained winds increasing to 120 mph (190 km/h).[20][21] Delta held that intensity for six hours as it turned due north before moving into a hostile environment of cooler waters, drier air, and increasing wind shear. This caused Delta to begin a slow weakening trend as its eye clouded over and its convective pattern became ragged. It was downgraded to a Category 2 hurricane at 18:00 UTC as it turned north-northeastward towards land.[22][23] Delta then made landfall near Creole, Louisiana with winds of 100 mph (160 km/h) and a pressure of 970 mbar (29 inHg) at 23:00 UTC.[24] After that, Delta began to weaken more rapidly, dropping to Category 1 status an hour after landfall at 00:00 UTC on October 10 and a tropical storm six hours later.[25][26] It accelerated northeastward and transitioned into an extratropical cyclone over Western Mississippi by 18:00 UTC. The system continued to weaken and its circulation broadened through the day on October 11, and by 00:00 on October 12, it opened into a trough of low pressure over the southeastern United States.[1]
Preparations
Cayman Islands and Cuba

Tropical storm warnings were issued for the islands of Grand Cayman and Cayman Brac when advisories were first initiated on Potential Tropical Cyclone Twenty-Six.[27] In the Cayman Islands, all public schools were closed from October 5 to October 6 as the rainbands were forecast to bring high winds and flooding to the islands. All government offices were on the afternoon of October 5 and remained closed for the entire day on October 6. Cayman Airways reported cancellation of its flights. The Red Cross shelter on Huldah Avenue was on stand-by in the event of flooding. The government set up facilities for shelter with proper protocol for COVID-19 for people with the virus isolating at home. All Government events on October 5–6 were cancelled, including Older Person's Month activities.[28]
When the initial advisory was issued for Potential Tropical Cyclone Twenty-Six, a hurricane watch was issued for the provinces Pinar del Río, Artemisa and the Isle of Youth while a tropical storm watch was issued for La Habana.[27] Three hours after the storm was upgraded to Tropical Storm Delta, the watch for Pinar del Río was upgraded to a hurricane warning while a Tropical Storm Warning was issued for the Isle of Youth.[29] This, however, was downgraded to a tropical storm warning when Hurricane Delta jogged south and put less of the area in harm's way.[5]
Mexico

As Delta was nearing landfall in Quintana Roo, many communities were still being impacted by the remnants of Hurricane Gamma, which caused six deaths and left thousands of people homeless.[30][31] Just minutes after tropical storm watches and warnings for Gamma were dropped from the Yucatán Peninsula, a hurricane warning was issued for the northeastern part of the peninsula after Delta jogged south, putting more of the region in the line of potential impact.[32][33] More tropical storm warnings were put up shortly thereafter.[5] President Andrés Manuel López Obrador reported on October 6 that Admiral José Rafael Ojeda Durán, Secretary of the Navy, and Laura Velázquez, National Coordinator of Civil Protection, were traveling to Quintana Roo to help with preparations for Hurricane Delta. The federal government also had been communicating with Governor of Quintana Roo Carlos Joaquín González since October 5.[34] In addition, the president announced on October 6 the activation of the DN-III-E emergency plan and the mobilization of 5,000 soldiers of the Armed Forces to the southeast of the country, to help with the evacuation of sheltering of people still recovering from Gamma.[31] More than 4,000 people, including tourists and residents, were evacuated from Holbox due to the threat of life-threatening impacts from Hurricane Delta. Seven of the 59 shelters that exist in the municipality of Lázaro Cárdenas with a capacity of 1,800 people have been enabled.[35] A total of 41,000 tourists were evacuated from the state of Quintana Roo, and a red alert was declared for the state. Many hotels and archaeological sites in the Yucatán Peninsula were closed, including the busy historical sites of Chichen Itzá and Tulum.[31] In Cancún, 160 shelters were opened for tourists and residents. In addition, around 400 tourists were sheltering at the Cancún Convention Center, and some 300 guests and 200 staff from the Fiesta Americana Condesa hotel were taking shelter, at the Technological Institute of Cancún campus.[36] One lower division soccer match was postponed on October 8.[37]
United States
Alabama
Tourists and visitors were ordered to leave Alabama's barrier islands as of October 6 while a state of emergency was also declared for the state.[38]
Mississippi
Governor of Mississippi Tate Reeves declared a state of emergency on October 7 ahead of the storm. The Mississippi Emergency Management Agency distributed 160,000 sandbags to Hancock, Harrison, and Jackson Counties.[39] On October 8, President Donald Trump approved Governor Reeves' request for a federal emergency declaration in anticipation of Hurricane Delta.[40] On October 8, the Gulfport Municipal Marina advised vessels to evacuate by 1:00 p.m. CDT (18:00 UTC).[41]
Louisiana
The area that Delta threatened was the same area affected by the stronger Hurricane Laura a little over one month earlier. Many residents were still "traumatized" due to significant damage from Hurricane Laura still evident in coastal areas. Around 5,600 residents were still located in hotels six weeks after Laura struck because their homes were destroyed by the hurricane.[42] Additionally, 6,000 homes still had tarps on them.[43]
On October 6, Governor of Louisiana, John Bel Edwards, declared a state of emergency ahead of Hurricane Delta.[44] The Houston SPCA evacuated 15 cats from a shelter in Louisiana to their shelter in Houston.[45] A group of firefighters from Tulsa, Oklahoma traveled to Monroe to set-up a shelter for evacuees and help with swift water rescues along the coast.[46] Waitr offered free grocery delivery in Lafayette for those unable or choosing not to go out in public to prepare for the storm.[47] On October 7, Louisiana Governor John Bel Edwards conferred with President of the United States Donald Trump, who agreed to sign a disaster declaration for the entire state ahead of the storm.[48]
In college football, a matchup between Louisiana-Lafayette and Coastal Carolina was postponed to October 14.[49] The matchup between LSU and Missouri was relocated to Faurot Field in Columbia, Missouri as well.[50] More than 1,000 Louisiana National Guardsmen, 7,500 utility workers, and dozens of high water rescue vehicles, boats, and aircraft were put on standby. Another 8,000 utility workers were waiting outside the state.[43]
Elsewhere
On October 5, the oil drilling companies of BP and BHP began evacuating non-essential personnel from their offshore platforms in the Gulf of Mexico.[51]
Impact

Mexico
The storm brought power outages and uprooted trees in Cancún and Cozumel.[52] A peak wind gust of 110 mph (175 km/h) was reported in Puerto Morelos, Quintana Roo, where the hurricane made landfall. Another wind gust of 106 mph (171 km/h) was reported in nearby Cancún.[53] Civil defense official Luís Alberto Vázquez said there were no immediate reports of deaths or injuries, but reported that Delta downed about 95 trees and caused more than 266,000 customers to lose power in parts of the Yucatán Peninsula.[54] Many hotels and resorts lost electricity and air conditioning.[55] Street flooding was reported in Cozumel.[56] Many piers were destroyed due to storm surge, and several buildings near the coast were also destroyed.[53] Roughly 2,500 hectares of crops were damaged by the storm.[57] Before the arrival of the hurricane, a 65-year-old man in Tizimin, Yucatán, lost his life after falling from the second floor of his house while preparing for the storm.[58] Following the storm a woman lost her life in Mérida after touching a downed pole and thus being electrocuted.[59] Damage in Cancún stood at MX$4 billion (US$186 million).[60]
United States
25,000 customers in Texas and Louisiana lost power before Delta made landfall.[43] That number soon rose to 740,000 as Delta pulled inland.[61]
Louisiana

Street flooding was reported in Baton Rouge on October 8.[62] The Baton Rouge Metropolitan Airport reported 8 inches (200 mm) of rain, which prompted a flash flood warning issued by the National Weather Service. At least 25 motorists were stuck in high water in Baton Rouge.[43] The next day, Lake Charles Regional Airport reported a wind gust of 60 mph (97 km/h) as the storm approached at around 18:00 UTC, while another station in Lake Charles recorded a peak gust of 88 mph (142 km/h).[23][63] In the following hours, a WeatherFlow observing site near Cameron reported a wind gust of 51 mph (82 km/h) and a National Ocean Service station at Calcasieu Pass reported sustained winds of 53 mph (85 km/h), a wind gust of 64 mph (103 km/h), and a pressure of 983.8 mbar (29.05 inHg).[64][65][66] Around the time of landfall, a Florida Coastal Monitoring Tower near Lake Arthur reported a sustained wind of 77 mph (124 km/h) and a gust to 96 mph (154 km/h) while a NOAA National Weather Service water level gauge at Freshwater Canal Locks reported 8 feet (2.4 m) of storm surge.[24] Shortly after that, the Lake Charles Regional Airport reported sustained winds of 64 mph (103 km/h) with gusts to 95 mph (153 km/h).[25]
Delta made landfall just 12 miles (19 km) east of where Hurricane Laura did six weeks earlier.[43] Across the state, tarps and debris from Laura were blown away.[67] Many areas in hard-hit Lake Charles were damaged again and some homes were flooded in Moss Bluff.[68] Additional damage occurred in Jennings and widespread power outages were reported.[43] In Calcasieu Parish, several vehicles were overturned on I-10.[69] Due to multiple car accidents on the Calcasieu River Bridge, both directions of the bridge, carrying I-10 and US 90, were closed to traffic.[70] The Bank Hotel in Lake Arthur had its roof damaged when many of the shingles on top were torn off.[71] In St. Martinville, a generator related fire caused the death of an 86-year-old man.[72] In addition, a 70-year-old woman in Iberia Parish died in a fire likely caused by a natural gas leak following damage from Hurricane Delta.[73]
Mississippi
Delta uprooted many trees across Mississippi. One tree landed on a news vehicle while its crew was inside in Jackson. No one was seriously injured.[69] A gust of 54 mph was reported in Jackson. In the Jackson metro area, damage was minimal, with power outages, a few uprooted trees, and a traffic signal damaged. In Warren County, emergency management reported 36 downed trees, including one that fell on a home in Vicksburg. In the state, a total of 95,700 customers lost power. Major highways such as US 61, US 84, and US 51 were closed due to uprooted trees and debris.[74] In Natchez, a home was destroyed by a large uprooted tree, and several other homes, apartments, and businesses were damaged.[75] An extremely brief EF0 tornado in McCall Creek also snapped or uprooted trees near a home on October 9.[76]
Alabama, Georgia, and the Carolinas
Widespread tornado warnings were issued throughout the rest of the Southeast and 13 other tornadoes were confirmed on October 10-11.[77][78][79][80] On October 10 in Georgia, an EF1 tornado damaged a homeless shelter in Covington, injuring two people and displacing 30 others.[81][82][83] The next day, an EF1 tornado in Latta, South Carolina, destroyed a storage shed and damaged a billboard, mobile home, home, and trees. Later, another EF1 tornado in Conway, South Carolina snapped and uprooted trees, significantly damaged a home and old barn, and caused minor damage to a storage shed and another home, injuring one person. An EF1 tornado in Nakina, North Carolina damaged the roof and carport of a home as well as an outbuilding.[84]
Elsewhere
The precursor to Delta brought squally weather in the Lesser Antilles, ABC Islands, Virgin Islands, Puerto Rico, and Hispaniola.[85][86] Tropical-storm force winds from Delta were first reported in Texas, where a Texas Coastal Ocean Observation Network station at the Galveston Bay North Jetty reported sustained winds of 42 mph (68 km/h) and a wind gust of 49 mph (79 km/h) at around 16:00 UTC on October 9.[87] In the following hours, a wind gust of 55 mph (89 km/h) was reported at the Jack Brooks Regional Airport near Port Arthur, a wind gust of 60 mph (97 km/h) was observed at Nederland, and a Texas Coastal Ocean Observation Network station at Texas Point reported sustained winds of 62 mph (100 km/h) with a gust of 78 mph (126 km/h).[64][65][66] In Galveston, about 100 miles (160 km) from where the center made landfall, winds toppled trees, street signs and two homes under construction. Due to sand dunes flattened by earlier storms, storm surge reached beneath raised houses. Large swells and rip currents prompted beach closures as far west as the mouth of the Rio Grande River.[69] Two people drowned in Florida as a result of Hurricane Delta. One drowning occurred in Pensacola where a 49-year-old man was caught in strong rip currents and another drowning occurred in Destin where a 19-year-old tourist drowned and another was rescued after they were caught in a rip current produced by Hurricane Delta.[88] The remnants of Delta also affected parts of the Northeastern United States. In New Jersey, a peak rainfall amount of 3.67 inches (93 mm) was recorded in West Creek, and a top wind gust of 42 miles per hour (68 km/h) was recorded in Sea Girt.[89]
Aftermath
Mexico
In Cancun, within a week of Delta's passage, electrical and water services were restored throughout the area.[90] The Convoy of Hope handed out relief supplies to families affected by the hurricane.[91]
United States
Louisiana
In the immediate aftermath of Delta, Louisiana Governor John Bel Edwards stated that tens of thousands would need help recovering after the storm's destruction.[92] He also surveyed damage in areas hard-hit by the hurricane.[93]
Records and naming
Delta was the earliest 25th tropical or subtropical storm on record in an Atlantic hurricane season, surpassing the old mark of November 15, set by Tropical Storm Gamma in 2005.[94][95] Delta rapidly intensified from a 35 mph (55 km/h) tropical depression to a 130 mph (210 km/h) Category 4 hurricane in twenty-four hours, the fastest such occurrence on record in the Atlantic Basin.[95] Delta was the record-setting tenth named storm of the year to make landfall in the continental U.S., surpassing the previous record of nine set in 1916. Delta was also the record-tying fourth named storm to hit Louisiana in 2020, tying the record set in 2002; this record was surpassed by Hurricane Zeta later in the month.[43][96][97]
The 2020 season was the second (along with 2005) in which an alphabetic list of 21 storm names had been exhausted, necessitating use of the Greek alphabet auxiliary list. In March 2021, the World Meteorological Organization replaced that auxiliary list with a new 21-name supplemental list. As a result, the letter Delta will not be used to name another Atlantic hurricane.[98]
See also
- Tropical cyclones in 2020
- List of Category 4 Atlantic hurricanes
- List of Louisiana hurricanes (2000–present)
- List of costliest Atlantic hurricanes
- Hurricane Audrey (1957) – Deadly Category 3 hurricane that made landfall near the Texas–Louisiana state line.
- Hurricane Wilma (2005) – Category 5 hurricane that also explosively intensified, becoming the strongest Atlantic hurricane ever recorded before striking the Yucatán Peninsula as a Category 4 storm.
- Hurricane Gustav (2008) – Category 4 hurricane that devastated the Western Caribbean before impacting Louisiana as a Category 2 storm.
- Hurricane Zeta (2020) – Category 3 hurricane that took a similar track three weeks later.
References
- 1 2 3 John P. Cangialosi and Robbie Berg (30 March 2021). "Tropical Cyclone Report on Hurricane Delta" (PDF). nhc.noaa.gov. Retrieved 9 April 2021.
- ↑ "Billion-Dollar Weather and Climate Disasters: Events". NOAA. Retrieved 11 January 2020.
- ↑ Stewart, Stacy R. (1 October 2020). "Two-Day Graphical Tropical Weather Outlook". www.nhc.noaa.gov. Miami, Florida: National Hurricane Center. Retrieved 5 October 2020.
- ↑ Berg, Robbie (3 October 2020). "Two-Day Tropical Weather Outlook". www.nhc.noaa.gov. Miami, Florida: National Hurricane Center. Retrieved 5 October 2020.
- 1 2 3 Cangialosi, John (6 October 2020). "Hurricane Delta Intermediate Advisory Number 5A". www.nhc.noaa.gov. Miami, Florida: National Hurricane Center. Retrieved 6 October 2020.
- ↑ Cangialosi, John (6 October 2020). "Hurricane Delta Advisory Number 6". www.nhc.noaa.gov. Miami, Florida: National Hurricane Center. Retrieved 6 October 2020.
- ↑ Blake, Eric S. (6 October 2020). "Hurricane Delta Discussion Number 7". www.nhc.noaa.gov. Miami, Florida: National Hurricane Center. Retrieved 6 October 2020.
- ↑ Klotzbach, Philip. "#Delta has intensified by 70 mph (from 40 mph to 110 mph) in its first 24 hours since becoming a named storm. This is the most intensification in a 24 hour period for an October Atlantic named storm since Wilma in 2005. #hurricane". Twitter. Retrieved 6 October 2020.
- ↑ Papin, Philippe. "Unfortunately #Hurricane #Delta continues to rapidly intensify. As the TC nears major hurricane status, its eye has contracted & qualifies as a "pinhole eye" w/ the diameter down to 6 nm!". Twitter. Retrieved 6 October 2020.
- ↑ Brown, Daniel (6 October 2020). "Hurricane Delta Advisory Number 8". www.nhc.noaa.gov. Miami, Florida: National Hurricane Center. Retrieved 6 October 2020.
- ↑ Brown, Daniel (6 October 2020). "Hurricane Delta Tropical Cyclone Update". www.nhc.noaa.gov. Miami, Florida: National Hurricane Center. Retrieved 6 October 2020.
- ↑ Erdman, Jonathan (6 October 2020). "Hurricane Delta Fastest on Record to Rapidly Intensify From Tropical Depression to Category 4 in Atlantic Basin". wunderground.com. Retrieved 16 October 2020.
- ↑ Cowan, Levi (7 October 2020). "Twitter - "Hurricane Delta impacted by mid-level shear"". Twitter. Retrieved 8 October 2020.
- ↑ "Hurricane Delta Discussion Number 10". www.nhc.noaa.gov. Retrieved 7 October 2020.
- ↑ Brown, Dan (7 October 2020). "Hurricane Delta Tropical Cyclone Update...Corrected". nhc.noaa.gov. Miami Florida: National Hurricane Center. Retrieved 7 October 2020.
- ↑ Semple, Kirk (7 October 2020) [Updated October 9, 2020]. "Hurricane Delta Moves Into Gulf After Striking, but Mostly Sparing, Mexico". The New York Times. Retrieved 10 November 2020.
- ↑ Brown, Dan (7 October 2020). "Hurricane Delta Discussion Number 13". nhc.noaa.gov. Miami, Florida: National Hurricane Center. Retrieved 7 October 2020.
- ↑ Cangialosi, John (8 October 2020). "Hurricane Delta Advisory Number 14A". www.nhc.noaa.gov. Miami, Florida: National Hurricane Center. Retrieved 8 October 2020.
- ↑ Beven, Jack (8 October 2020). "Hurricane Delta Discussion Number 16". www.nhc.noaa.gov. Miami, Florida: National Hurricane Center. Retrieved 8 October 2020.
- ↑ Beven, Jack (8 October 2020). "Hurricane Delta Advisory Number 17". www.nhc.noaa.gov. Miami, Florida: National Hurricane Center. Retrieved 8 October 2020.
- ↑ Cangialosi, John (9 October 2020). "Hurricane Delta Intermediate Advisory Number 18A". www.nhc.noaa.gov. National Hurricane Center. Retrieved 9 October 2020.
- ↑ Beven, Jack (9 October 2020). "Hurricane Delta Discussion Number 20". www.nhc.noaa.gov. Retrieved 9 October 2020.
- 1 2 Beven, Jack (9 October 2020). "Hurricane Delta Intermediate Advisory Number 20A". www.nhc.noaa.gov. Miami, Florida: National Hurricane Center. Retrieved 9 October 2020.
- 1 2 "Hurricane DELTA". www.nhc.noaa.gov. Retrieved 9 October 2020.
- 1 2 "Hurricane DELTA". www.nhc.noaa.gov. Retrieved 10 October 2020.
- ↑ "Hurricane DELTA". www.nhc.noaa.gov. Retrieved 10 October 2020.
- 1 2 "Potential Tropical Cyclone TWENTY-SIX". www.nhc.noaa.gov. Retrieved 5 October 2020.
- ↑ "Cayman: Tropical Storm Delta could become a hurricane tonight". www.loopcayman.com. 5 October 2020. Retrieved 6 October 2020.
- ↑ "Tropical Storm DELTA". www.nhc.noaa.gov. Retrieved 5 October 2020.
- ↑ "'Very impressive rapid intensification': Delta now a Category 4 'major' hurricane, heads for Mexico then US". USA Today. 6 October 2020. Retrieved 6 October 2020.
- 1 2 3 "Desalojos masivos de hoteles y alerta roja en México ante la proximidad del huracán Delta, ahora de categoría 3" (in Spanish). Univision. 6 October 2020. Retrieved 7 October 2020.
- ↑ "Tropical Depression GAMMA". www.nhc.noaa.gov. Retrieved 5 October 2020.
- ↑ "Tropical Storm DELTA". www.nhc.noaa.gov. Retrieved 5 October 2020.
- ↑ Pedro Villa y Caña, Perla Miranda y Alberto Morales (6 October 2020). "Titulares de Marina y Protección Civil viajan a Quintana Roo por huracán "Delta"". eluniversal.com (in Spanish). El Universal. Retrieved 6 October 2020.
- ↑ "4 MIL PERSONAS EVACUADAS DE HOLBOX ANTE LLEGADA DEL HURACÁN DELTA". 6 October 2020.
- ↑ Janice Dean and Travis Fedschun (7 October 2020). "Hurricane Delta makes landfall near Cancun as Mexico faces 'powerful' storm, tourists hunker down". Fox News. Retrieved 7 October 2020.
- ↑ "Se pospone el Pumas Tabasco vs. Cancún FC". Retrieved 8 October 2020.
- ↑ Brackett, Ron; Wesner Childs, Jan (6 October 2020). "Hurricane Delta: Visitors Ordered to Leave Alabama Barrier Islands; Storm-Weary Louisiana Braces for Hit". The Weather Channel. Archived from the original on 7 October 2020. Retrieved 6 October 2020.
- ↑ "Governor Reeves Issues State of Emergency for Hurricane Delta". www.msema.org. Mississippi Emergency Management Agency. 7 October 2020. Retrieved 9 October 2020.
- ↑ "President Trump Approves Pre-landfall Disaster Declaration for Hurricane Delta". www.msema.org. Mississippi Emergency Management Agency. 7 October 2020. Retrieved 9 October 2020.
- ↑ "Shelter Information/ Evacuation Orders". www.msema.org. Mississippi Emergency Management Agency. Archived from the original on 8 October 2020. Retrieved 9 October 2020.
- ↑ "'Sheer anxiety': Louisiana braces itself for Hurricane Delta". CNBC. 8 October 2020.
- 1 2 3 4 5 6 7 "Hurricane Delta: Roads Flooded, Buildings Damaged as Storm Moves Inland; More Than 400,000 Without Power". The Weather Channel. Retrieved 12 October 2020.
- ↑ "Proclamation Number 133 JBE 2020" (PDF). Retrieved 7 October 2020.
- ↑ Edsitty, Charly (7 October 2020). "Houston SPCA heads to Louisiana to evacuate animals before Delta's landfall". abc13.com. ABC 13 Houston. Retrieved 7 October 2020.
- ↑ Ellis, Ashley (7 October 2020). "OK Task Force 1 heading back to Louisiana for Hurricane Delta". ktul.com. 8 ABC Tulsa. Retrieved 7 October 2020.
- ↑ Briggs, Akemi (7 October 2020). "Waitr Offering Free Grocery Delivery in Lafayette in Preparation for Hurricane Delta". kadn.com. FOX 15 KADN/KLAF. Archived from the original on 11 October 2020. Retrieved 7 October 2020.
- ↑ "The Latest: Mississippi governor declares state of emergency". Yahoo Sports. The Associated Press. 7 October 2020. Retrieved 7 October 2020.
- ↑ Buckley, Tim. "Louisiana-Lafayette moves game against Coastal Carolina to Oct. 14 as Hurricane Delta looms". USA TODAY.
- ↑ "LSU-Missouri game switches venue, time because of hurricane threat". The Vicksburg Post. 7 October 2020.
- ↑ Seba, Erwin (5 October 2020). "Oil firms begin offshore U.S. evacuations as record-breaking storm threatens". Reuters. Retrieved 6 October 2020.
- ↑ "Huracán Delta en vivo: Últimas noticias y trayectoria hacia Quintana Roo en directo". MARCA Claro México (in Spanish). 6 October 2020.
- 1 2 "LIVE: Mexico battered by Delta as storm now eyes US". accuweather.com. Accuweather. 6 October 2020. Retrieved 7 October 2020.
- ↑ WFP Latin America & Caribbean Region COVID-19 Logistics Situation Update #12 (PDF) (Report). World Food Programme. 7 October 2020. Retrieved 23 October 2020 – via ReliefWeb.
- ↑ "Delta toca tierra en México como huracán de categoría 2". Washington Hispanic (in Spanish). 7 October 2020.
- ↑ Pedersen, Joe Mario. "Hurricane Delta loses strength, but forecast to reintensify into a Category 4 storm". orlandosentinel.com.
- ↑ "Payapa, bananas, chiles part of crops affected by passing Cancun hurricane". Riviera Maya News. 17 October 2020. Retrieved 23 October 2020.
- ↑ "Yucatán: Abuelito muere al asegurar su casa por paso de huracán Delta en Tizimín" (in Spanish). Novedades Yucatan. 7 October 2020. Retrieved 7 October 2020.
- ↑ "Mérida: Inundaciones en Fracc Las Américas provocan que mujer muera electrocutada" (in Spanish). Novedades Yucatan. 8 October 2020. Retrieved 8 October 2020.
- ↑ "Huracán Delta le cuesta a Cancún 4,000 millones de pesos" (in Spanish). El Eco. 8 October 2020. Retrieved 8 October 2020.
- ↑ "Hurricane Delta inflicts new round of destruction in Louisiana". The Guardian. Associated Press. 10 October 2020. Retrieved 10 October 2020.
- ↑ "Images of Hurricane Delta's impact in Baton Rouge, surrounding areas". WBRZ. Retrieved 12 October 2020.
- ↑ "More than 300,000 without power in Texas, Louisiana". The Washington Post. 10 October 2020. Retrieved 9 October 2020.
- 1 2 "Hurricane DELTA". www.nhc.noaa.gov. Retrieved 9 October 2020.
- 1 2 "Hurricane DELTA". www.nhc.noaa.gov. Retrieved 9 October 2020.
- 1 2 "Hurricane DELTA". www.nhc.noaa.gov. Retrieved 9 October 2020.
- ↑ Stacy Plaisance, Rebecca Santana (10 October 2020). "Delta adds insult to injury in hurricane-ravaged Louisiana". pbs.org. PBS. Retrieved 13 January 2021.
- ↑ SCHLEIFSTEIN, MARK. "Hurricane Delta makes a soggy, windy landfall in southwest Louisiana Friday evening". NOLA.com. Retrieved 10 October 2020.
- 1 2 3 SANTANA, REBECCA. "Delta Adds Insult to Injury in Hurricane-Ravaged Louisiana". U.S. News. Retrieved 12 October 2020.
- ↑ Guy, Michael; Maxouris, Christina; Sanchez, Ray. "Weakened Delta brings heavy rain and threat of flooding and tornadoes to Southeast". CNN.
- ↑ Santana, Rebecca; Plaisance, Stacey (9 October 2020). "Hurricane Delta inflicts new damage on storm-weary Louisiana". AP News. Archived from the original on 12 October 2020. Retrieved 12 October 2020.
- ↑ Advocate Staff (11 October 2020). "First storm-related death in St. Martin: Fatal fire likely caused by hot generator". The Advocate. Retrieved 11 October 2020.
- ↑ "Louisiana Department of Health verifies two Hurricane Delta-related deaths". kalb.com. 11 October 2020. Retrieved 11 October 2020.
- ↑ Beveridge, Lici; Bologna, Giacomo; Vicory, Justin (10 October 2020). "Delta live MS updates: Hundreds of trees down, thousands without power as storm weakens". Clarion Ledger. Retrieved 10 October 2020.
- ↑ Digital, WLBT. "Strong winds from Delta cause damage across Miss". wlbt.com. Retrieved 12 October 2020.
- ↑ NWS Damage Survey For 10/09/20 Tornado Event-Update 1 (Report). Iowa Environmental Mesonet. National Weather Service Weather Forecast Office in Jackson, Mississippi. 12 October 2020. Retrieved 12 October 2020.
- ↑ Herzmann, Daryl. "IEM :: Storm Based Warning Polygon Visual Summary". mesonet.agron.iastate.edu. Retrieved 11 October 2020.
- ↑ Herzmann, Daryl. "IEM :: Storm Based Warning Polygon Visual Summary". mesonet.agron.iastate.edu. Retrieved 11 October 2020.
- ↑ Herzmann, Daryl. "IEM :: Storm Based Warning Polygon Visual Summary". mesonet.agron.iastate.edu. Retrieved 11 October 2020.
- ↑ Herzmann, Daryl. "IEM :: Storm Based Warning Polygon Visual Summary". mesonet.agron.iastate.edu. Retrieved 12 October 2020.
- ↑ "Storm Prediction Center 201009's Storm Reports". www.spc.noaa.gov. Retrieved 11 October 2020.
- ↑ "Storm Prediction Center Today's Storm Reports". www.spc.noaa.gov. Retrieved 11 October 2020.
- ↑ McLaughlin, Eliott C.; axouris, Christina. "Hurricane Delta leaves one dead in Louisiana and brings tornado threat to Carolinas". CNN.
- ↑ "Storm Prediction Center 201011's Storm Reports". www.spc.noaa.gov. Retrieved 12 October 2020.
- ↑ Berg, Robbie (2 October 2020). "Two-Day Graphical Tropical Weather Outlook". www.nhc.noaa.gov. Retrieved 5 October 2020.
- ↑ Cangialosi, John (3 October 2020). "Two-Day Graphical Tropical Weather Outlook". www.nhc.noaa.gov. National Hurricane Center. Retrieved 5 October 2020.
- ↑ "Hurricane DELTA". www.nhc.noaa.gov. Retrieved 9 October 2020.
- ↑ "2 drown in rip currents in Northwest Florida over weekend". WXXV. 12 October 2020. Retrieved 12 October 2020.
- ↑ Zarrow, Dan (13 October 2020). "Tuesday NJ weather: Drying out and slowly clearing, as Delta's remnants exit". nj1015.com. NJ 101.5. Retrieved 13 October 2020.
- ↑ "Cancun, fast recovery after Delta Hurricane". Cancun International Airport. 12 October 2020. Retrieved 20 January 2021.
- ↑ Convoy of Hope (10 October 2020). "Convoy is responding to Hurricane Delta in Mexico". ReliefWeb. Retrieved 20 January 2021.
- ↑ "Louisiana Begins Recovery Process After Hurricane Delta". Maritime Executive. 11 October 2020. Retrieved 20 January 2021.
- ↑ "Gov. Edwards surveys areas impacted by Hurricane Delta". WSDU 6 News. 11 October 2020. Retrieved 21 January 2021.
- ↑ Klotzbach, Philip [@philklotzbach] (5 October 2020). "#Delta has formed in the central Caribbean - the 25th Atlantic named storm of the 2020 Atlantic #hurricane season to date and earliest 25th Atlantic named storm on record. Old record was November 15, 2005" (Tweet). Retrieved 6 October 2020 – via Twitter.
- 1 2 Erdman, Jonathan (6 October 2020). "Hurricane Delta Fastest on Record to Rapidly Intensify From Tropical Depression to Category 4 in Atlantic Basin". weather.com. Retrieved 12 November 2020.
- ↑ Bote, Joshua; Rice, Doyle; Shannon, Joel. "Delta makes landfall Friday evening as Category 2 storm, rapidly weakens across Louisiana". USA TODAY.
- ↑ Morrow, Jeff; Caparotta, Steve. "Delta makes 4th La. landfall of 2020 hurricane season". WAFB.
- ↑ "WMO Hurricane Committee retires tropical cyclone names and ends the use of Greek alphabet". Geneva, Switzerland: World Meteorological Organization. 17 March 2021. Retrieved 17 March 2021.
External links
- The National Hurricane Center's Advisory Archive on Hurricane Delta
- National Hurricane Center (NHC)
- Hurricane Delta caused floods and landslides in JAMAICA - Oct. 6, 2020

