The Wertachtal transmitter site (German: Kurzwellensendeanlage Wertachtal) in Bavaria, Germany, was from 1972 to 2013 the biggest shortwave broadcasting facility in Europe. It was located in the valley of the Wertach River near the village of Amberg (Swabia), and was originally operated by Deutsche Bundespost, and later by Media Broadcast GmbH. Before the site was closed, it included 14 500 kW radio transmitters and two 100 kW radio transmitters. It was built in 1969 and demolished in 2014.

Location

The transmitters and more than 85% of the antennas were located on the territory of the village of Amberg, and the rest of the antennas in Langerringen, in the Wertach valley.

Technical data

Transmitter towers in 2008

In 2008, there were 14 transmitters of 500 kW each and two transmitters of 100 kW. The antennas used by the transmitters were very large; the 68 antennas were supported by rows of towers, the largest of them 125 metres (410 ft) high and with foundations 12 metres (39 ft) deep. There were 34 towers in all, constructed from 4,200 tonnes (4,100 long tons; 4,600 short tons)of steel. At night, the towers were illuminated and could be seen from a distance of 20 kilometres (12 mi) The three rows of antennas were 1 kilometre (0.62 mi), 1.3 kilometres (0.81 mi) and 1.9 kilometres (1.2 mi) long.[1] Two 110 kV electrical power lines supplied power. The site used about 20 MW of power.

History

After German shortwave broadcaster Deutsche Welle was founded in 1953, the Jülich radio transmitter was built in 1956 to transit shortwave radio broadcasts. In preparation for the 1972 Summer Olympics at Munich, Deutsche Welle decided to build a new transmitter site because the nine 100 kW transmitters in Jülich were too small. Construction began in 1969 on a 200 hectares (490 acres) near Amberg. The transmitters were supplied by AEG-Telefunken and the antennas by Brown, Boveri & Cie. About 600 people worked to build the site. By September 1971, six out of 25 towers had been completed, with heights reading to 125 m. They held the first antennas, directed towards North America and the Near East. The same year, the first three 500 kW transmitters were installed by AEG-Telefunken. Five transmitters needed to be installed before the beginning of the Summer Olympics. Test transmissions began on 10 April 1970 using the 500 kW transmitters; they stopped at the beginning of the Olympics. One of the four transmitters was used to transmit the Olympic program ARD-Olympiawelle on 5995 kHz while the others were used for foreign-language broadcasts. After the Olympics finished, the site was used by Germany's national shortwave broadcaster Deutsche Welle. In the following years until 2012, additional 500 kW transmitters were installed, also supplied by AEG-Telefunken.

Starting in 1987, foreign broadcasters also used the Wertachtal site, including Voice of America, Radio Canada International and Radio Nederland Wereldomroep. Since Voice of America wanted a long-term lease on the transmitters, new antennas were installed replacing the old ones. On 31 December 1995, Voice of America stopped broadcasting from Wertachtal, and Deutsche Welle decided to move its transmissions from the site in Jülich to Wertachtal and Nauen (Brandebourg). For this, a new quadrant-antenna was installed for transmissions to Europe.

Quadrant-Antenna (omnidirectional for 6 and 7 MHz) to serve central Europe. In the background are the main towers of the Wertachtal shortwave transmitter site.

Other broadcasters using the site included Adventist World Radio from 1996, et Family Radio from 2001.

In 2003 a new design transmitter was installed that could operate at 500 kW in conventional (AM ) or 200 kW in Digital Radio Mondiale (DRM), a new broadcasting standard. This was a joint venture of T-Systems, Telefunken Sendertechnik (which became TRANSRADIO Sendersysteme Berlin, which no longer exists), and of RIZ Zagreb. At the end of 2006, Deutsche Welle discontinued its transmissions from Wertachtal, and moved them to a site at Woofferton in England. On 15 January 2008, the Wertachtal transmitter site was sold to Media Broadcast GmbH. In April 2013, all but four broadcasts (some religious stations were the exceptions) were transferred to the Nauen transmitter site, which was then at full capacity, with 60 broadcasts per day. [2] [3] On 1 May 2013, the remaining broadcasts were transferred to Nauen, but the Wertachtal centre remained in working order.

Antenna assembly

The antenna assembly of Wertachtal transmitter site at final State
Great circle (equidistance) map central Europe with 2,500 kilometres (1,600 mi) ranges

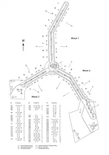
The antennas are set as a three-pointed star. Bank-1 to the north, length of 1.3 kilometres (0.81 mi), bank-2 with 1.9 kilometres (1.2 mi) to the south-east and bank-3 with 1 kilometre (0.62 mi) to the south-west. The longest connection to one of the antennas was 1.9 kilometres (1.2 mi). Total lengths of all coaxial-cable connections was 53 kilometres (33 mi). During first expansion stage there were 52 antennas for long-distance transmission (24 of them for 3-band and 28 for 2-band use) so as 11 lines of dipoles as 2-band-antennas for short-distance transmission. In final state there were built up 67 antennas. All antennas were equipped with pivoting (or slewing) switches to tilt the main antenna-beam to +/- 5, 15 or 30 degrees. The antennas were furnished by German affiliate of Swiss BBC (today Ampegon) at Mannheim. To fulfill the necessity to connect any of the 16 transmitters to any of the 67 antennas, a cross-point switching matrix of 8 metres (26 ft) height with more than 1.000 elements was built up.
In addition to the curtain-antennas primarily existed five log-periodic antennas with horizontal polarization, consisting in two radiators with 26 dipoles each, built up side by side. The main beam could be tilt to +/- 20 degrees by pivoting (or slewing) switches. They were furnished by Telefunken. These antennas were used for destinations up to 2,000 kilometres (1,200 mi). As omnidirectional antennas for shorter distances (central Europe) six quadrant antennas were mounted, each usable for two proximate frequencies. In the middle of the 80s the antenna-set was changed due to the intention of Voice of America to intensify transmitting in direction of Eastern Europe (in political meaning) and to North Africa. All but one (No 224) of the log-periodic antennas were removed. At their place another four curtain-antennas with main beam to 60° and operating distance between 1,000 kilometres (620 mi) and 2,000 kilometres (1,200 mi) were built instead.

The antennas, their frequencies and directions at final state

Bank 1, Nord

Place No Frequencies
(MHz)
Mode Azimuth Destination Form
A 101 15/17/21 F 270° Northern South America, The Caribbean HRS 4/4
A 102 6/7 N 90° Caucasus Area HRS 4/1
B 103 6/7 F 270° Northern South America, The Caribbean HRS 4/4
B 104 7/9 F 90° India, South Eastern Asia, Australia HRS 4/5
B 104 7/9 N 90° Caucasus Area HRS 4/1
B 105 15/17/21 F 90° India, South Eastern Asia, Australia HRS 4/4
B 105 15/17 N 90° Caucasus Area HRS 4/1
C 106 9/11 F 90° India, South Eastern Asia, Australia HRS 4/4
C 107 11/15/17 F 270° Northern South America, The Caribbean HRS 4/4
C 108 6/7 F 90° India, South Eastern Asia, Australia HRS 4/4
D 109 9/11 F 270° Northern South America, The Caribbean HRS 4/4
D 110 9/11 F 90° India, South Eastern Asia, Australia HRS 4/4
D 110 9/11 N 90° Caucasus Area HRS 4/1
D 111 11/15/17 F 90° India, South Eastern Asia, Australia HRS 4/4
D 111 11/15 N 90° Caucasus Area HRS 4/1
E 112 9/11 F 300° Eastern North America, Mexico HRS 4/4
E 113 17/21/26 F 300° Eastern North America, Mexico HRS 4/4
E 114 6/7 F 120° The Balkans, Eastern Mediterranean Area HRS 4/4
F 115 11/15/17 F 300° Eastern North America, Mexico HRS 4/4
F 116 15/17/21 F 300° Eastern North America, Mexico HRS 4/4
F 117 6/7 F 120° The Balkans, Eastern Mediterranean Area HRS 4/4
G 118 6/7 F 300° Eastern North America, Mexico HRS 4/4
G 119 7/9 F 120° The Balkans, Eastern Mediterranean Area HRS 4/4
G 119 7/9 N 120° The Balkan Area HRS 4/1
G 120 11/15/17 F 120° The Balkans, Eastern Mediterranean Area HRS 4/4
G 120 15/17 N 120° The Balkan Area HRS 4/1
H 121 9/11/15 F 300° Eastern North America, Mexico HRS 4/4
H 122 17/21/26 F 120° The Balkans, Eastern Mediterranean Area HRS 4/4
H 123 21/26 F 120° The Balkans, Eastern Mediterranean Area HRS 4/4
J 124 6/7 F 120° The Balkans, Eastern Mediterranean Area HRS 4/4

Bank 2, South-East

Place No Frequencies
(MHz)
Mode Azimuth Destination Form
A 201 6/7 F 210° Western Africa HRS 4/4
A 202 7/9 F 30° China, Pacific HRS 4/4
A 202 9/11 N 30° Southern Russia, China HRS 4/1
A 203 11/15/17 F 30° China, Pacific HRS 4/4
B 204 9/11 F 210° Western Africa HRS 4/4
B 205 11/15/17 F 210° Western Africa HRS 4/4
B 206 6/7 F 30° China, Pacific HRS 4/4
C 207 6/7 F 240° South America HRS 4/4
C 208 9/11 F 60° Eastern Europe, Russia, China HRS 4/4
C 209 21/26 F 60° Eastern Europe, Russia, China HRS 4/4
D 210 9/11 F 240° South America HRS 4/4
D 211 11/15/17 F 240° South America HRS 4/4
D 212 7/9 F 60° Eastern Europe, Russia, China HRS 4/4
E 213 9/11/15 F 240° South America HRS 4/4
E 214 15/17/21 F 60° Eastern Europe, Russia, China HRS 4/4
E 215 17/21/26 F 60° Eastern Europe, Russia, China HRS 4/4
F 216 21/26 F 240° South America HRS 4/4
F 217 17/21/26 F 240° South America HRS 4/4
F 218 11/15/17 F 60° Eastern Europe, Russia, China HRS 4/4
G 219 6 - 11 N 45° European Russia HRS 4/1
x 220 6 - 11 B 75° Central Asia, Southern Russia HRS 2/2
x 220 6 - 11 S 75° Central Asia, Southern Russia HRS 4/2
x 221 6 - 11 F 60° Eastern Europe, Russia HRS 2/4
x 222 6 - 11 F 60° Eastern Europe, Russia HRS 2/4
x 223 6 - 11 N 60° Eastern Europe, Russia HRS 2/2
x 224 6 - 22 L 60° Eastern Europe, Russia LogPer
x 225 6/7 B 60° Eastern Europe, Russia HRS 2/2
x 225 6/7 S 60° Eastern Europe, Russia HRS 4/2
x 226 6/7 Q ND MittelCentral Europe Quadrant

Bank 3, South-West

Place No Frequencies
(MHz)
Mode Azimuth Destination Form
A 301 15/17/21 F 330° Western North America HRS 4/4
A 302 21/26 F 150° East and South Africa HRS 4/4
B 303 11/15/17 F 330° Western North America HRS 4/4
B 304 9/11 F 330° Western North America HRS 4/4
B 305 7/9 F 150° East and South Africa HRS 4/4
C 306 6/7 F 330° Western North America HRS 4/4
C 307 17/21/26 F 150° East and South Africa HRS 4/4
C 308 11/15/21 F 150° East and South Africa HRS 4/4
D 309 6/7 F 330° Western North America HRS 4/4
D 310 15/17/21 F 150° East and South Africa HRS 4/4
D 311 9/11 F 150° East and South Africa HRS 4/4
E 312 9/11/15 F 330° Western North America HRS 4/4
F 313 9/11 N 120° The Balkan Area HRS 4/2
x 314 6 Q ND Central Europe Quadrant
x 315 6/7 Q ND Central Europe Quadrant
x 316 9/11 Q ND Central Europe Quadrant
x 317 15/17 Q ND Central Europe Quadrant

Description to mode
F = long distance antenna, N = short distance antenna,
Q = quadrant antenna (omnidirectional), L = log-periodic antenna,
B = horizontal wide beam (about 45°), S = horizontal narrow beam (about 30°)

The end of broadcasting

In early 2014, it was rumored that the Wertachtal site was going to be completely destroyed by May 2014.[4] The newest transmitter, installed in 2003, was dismantled and reinstalled at transmitter site in Nauen, where it was used with a rotatable antenna installed in 1964. Some other equipment was bought by Austrian broadcaster Österreichische Rundfunksender GmbH for its site at Moosbrunn. Anything that couldn't be sold was scrapped.[4] At the end of November 2014, the last pillars of the site were removed. In 2015, scrap metal and any remaining equipment were removed.[5] The site is used since 2017 as a solar power station, with a power of 35 MWc.[6]

General view to transmitter site from SO in 2008

See also

  • CKCX, similar technical configuration, operating out of Sackville, New Brunswick, Canada

References

  1. Informationsschrift der Deutschen Bundespost Telekom, Fernmeldeamt Augsburg, Januar 1993.
  2. Kai Ludwig (2013-06-05). "Transmitter site Wertachtal fully shut down" (in German). Archived from the original on 2013-07-01. Retrieved 2013-07-07.
  3. DXaktuell.de (2013-06-08). "Media Broadcast searches for another use for Wertachtal transmitter site" (in German). Archived from the original on July 7, 2013. Retrieved 2013-07-07.
  4. 1 2 Kai Ludwig (2014-07-16). "Wertachtal transmitter site will be torn down" (in German). RadioEins.de. Retrieved 2019-03-24.
  5. Allgäuer Zeitung (2014-12-15). "Souvenir of Wertachtal transmitter site" (in German). www.all-in.de. Retrieved 2019-07-02.
  6. Alf Geiger (2017-01-12). "Ettringen transmits opposition to solar power farm" (in German). Augsburger Allgemeine/ Ettringen.info. Retrieved 2019-07-03.
This article is issued from Wikipedia. The text is licensed under Creative Commons - Attribution - Sharealike. Additional terms may apply for the media files.