Yoakum–DeFrenn Army Heliport | |||||||||||||||
|---|---|---|---|---|---|---|---|---|---|---|---|---|---|---|---|
| Summary | |||||||||||||||
| Airport type | Military | ||||||||||||||
| Owner/Operator | U.S. Army | ||||||||||||||
| Location | Fort Cavazos, Texas, U.S. | ||||||||||||||
| Time zone | CST (UTC−6) | ||||||||||||||
| • Summer (DST) | CDT (UTC−5) | ||||||||||||||
| Elevation AMSL | 924 ft / 282 m | ||||||||||||||
| Coordinates | 31°08′19″N 097°42′52″W / 31.13861°N 97.71444°W | ||||||||||||||
| Maps | |||||||||||||||
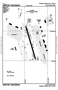
![]() FAA airport diagram of Yoakum–DeFrenn Army Heliport as of June 2023 | |||||||||||||||
![]() Yoakum–DeFrenn Army Heliport Location of Yoakum–DeFrenn Army Heliport in Texas | |||||||||||||||
| Runways | |||||||||||||||
| |||||||||||||||
a Runway available for landing on Runway 16 is 3134 feet due to displaced threshold | |||||||||||||||
Yoakum–DeFrenn Army Heliport (IATA: HLR, ICAO: KHLR, FAA LID: HLR) is a military airport located at the U.S. Army's Fort Cavazos, in Killeen, Texas, U.S.[1][2][3] Formerly Hood Army Airfield, the airport was renamed on 4 May 2023 in honor of Keith Yoakum and Jason DeFrenn.[4]
Facilities
Yoakum–DeFrenn Army Heliport has a single 3,701-by-144-foot (1,128 m × 44 m) asphalt runway, identified as 16/34. In the 16 direction, the threshold is displaced by 567 feet (173 m), resulting in a usable length for landing of 3,134 feet (955 m).[1][2][3]
The base is also served by Robert Gray Army Airfield (IATA: GRK, ICAO: KGRK, FAA LID: GRK) and two asphalt auxiliary landing strips used for training at North Fort Hood:
- Shorthorn Aux Landing Strip (FAA LID: 23XS) – 2,130 by 46 feet (649 m × 14 m) (RWY 15 1,583 feet (482 m) usable, RWY 33 1,897 feet (578 m) usable) at 31°21′40″N 97°40′23″W / 31.361°N 97.673°W, elevation 720 feet (220 m), magnetic variation 5.1° E[5][6]
- Longhorn Aux Landing Strip (FAA LID: 22XS) – 3,490 by 75 feet (1,064 m × 23 m) (unmarked numbers, but same magnetic heading as Shorthorn at 153 degrees) at 31°22′26″N 97°40′01″W / 31.374°N 97.667°W, elevation 720 feet (220 m), magnetic variation 5.1° E[7][8]
References
- 1 2 "Airport data for Hood AAF". FAA. April 3, 2014. Retrieved April 4, 2014.
- 1 2 "Airport diagram for Hood AAF" (PDF). FAA. April 3, 2014. Archived from the original (PDF) on April 7, 2014. Retrieved April 4, 2014.
- 1 2 "Airport/Facility Directory entry for Hood AAF" (PDF). FAA. Retrieved April 4, 2014.
- ↑ "Airfield at Fort Cavazos renamed to honor 2 Army pilots killed in Iraq". Stars and Stripes. June 7, 2023. Retrieved June 26, 2023.
- ↑ "Airport data for Shorthorn Aux Landing Strip". FAA. April 3, 2014. Retrieved April 4, 2014.
- ↑ "Pilot Information for Shorthorn Aux Landing Strip". OurAirports.com. Retrieved April 4, 2014.
- ↑ "Airport data for Longhorn Aux Landing Strip". FAA. April 3, 2014. Retrieved April 4, 2014.
- ↑ "Pilot Information for Longhorn Aux Landing Strip". OurAirports.com. Retrieved April 4, 2014.
External links
- FAA Airport Diagram (PDF), effective November 2, 2023
- Resources for this U.S. military airport:
- FAA airport information for HLR
- AirNav airport information for KHLR
- ASN accident history for HLR
- NOAA/NWS latest weather observations
- SkyVector aeronautical chart for KHLR
This article is issued from Wikipedia. The text is licensed under Creative Commons - Attribution - Sharealike. Additional terms may apply for the media files.
_Diagram_%E2%80%93_Yoakum%E2%80%93DeFrenn_Army_Heliport.pdf.jpg.webp)

